売土地
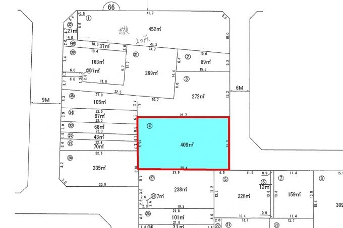
浜松市天竜区 船明土地区画整理地内66街区4画地
| 価格 | 680.46万円 | 間取り | 築年月 | ||
|---|---|---|---|---|---|
| 所在地 | 浜松市天竜区船明土地区画整理地内66街区4画地 | 建物面積 (専有面積) |
|||
| 交通 | 遠鉄バス 島町停 停歩4分 | ||||
[ショッピング施設] 遠鉄ストア天竜店まで1,170m
[コンビニ] セブンイレブン天竜船明店まで692m
[販売店] エネオス天竜北SSまで122m
[販売店] コメリハード&グリーン天竜店まで514m
[中学校] 浜松市立光が丘中学校まで924m
[小学校] 浜松市立光明小学校まで682m
[幼稚園・保育園] 浜松市立光明幼稚園まで1,613m
[幼稚園・保育園] すぎのこ保育園まで1,546m
[コンビニ] セブンイレブン天竜船明店まで692m
[販売店] エネオス天竜北SSまで122m
[販売店] コメリハード&グリーン天竜店まで514m
[中学校] 浜松市立光が丘中学校まで924m
[小学校] 浜松市立光明小学校まで682m
[幼稚園・保育園] 浜松市立光明幼稚園まで1,613m
[幼稚園・保育園] すぎのこ保育園まで1,546m
物件画像
※画像をクリックすると拡大して表示します。
担当者からのコメント
区画整理地内の豊かな環境です。コンビニも近く便利です。近くに公園もできます。

物件詳細情報
| 物件管理番号 | 種別 | 売土地 | 価格 | 680.46万円 | |
|---|---|---|---|---|---|
| 所在地 | 浜松市天竜区船明土地区画整理地内66街区4画地 | ||||
| 交通 | 遠鉄バス 島町停 停歩4分 | ||||
| 間取り | 権利 | 所有権 | |||
| 間取内容 | |||||
| 地代 | 借地権契約年月 | ||||
| 築年月 | 新築/中古 | ||||
| 土地面積 | 409.00㎡ (123.72坪) | 土地面積計測方式 | 実測 | ||
| 建ぺい率 | 60% | 容積率 | 150% | ||
| 地目 | 畑 | 用途地域 | 第2種中高層専用地域 | ||
| セットバック | セットバック面積 | ||||
| 私道持分 | 私道負担面積 | ||||
| 接道状況 | 一方 | ||||
| 接道方向1 | 東 | 接道間口1 | 6.0m | ||
| 接道種別1 | 公道 | ||||
| 接道幅員1 | 15.3m | ||||
| 接道方向2 | 接道間口2 | ||||
| 接道種別2 | |||||
| 接道幅員2 | |||||
| 建物面積 (専有面積) |
計測方式 | ||||
| バルコニー面積 | 部屋向き | ||||
| 建物階数 | 部屋階数 | ||||
| 建物構造 | 総戸数 | ||||
| 施工会社 | |||||
| 管理会社 | |||||
| 管理費(月額) | 管理形態 | ||||
| 駐車場 | |||||
| 修繕積立金(月額) | 住宅保険料 | ||||
| 引渡し/入居時期 | 要相談 | 現況 | 更地 | ||
| 状態 | 整形地 | 国土法届出 | |||
| 周辺環境 | 区画整理内 | 取引態様 | 媒介 | ||
| 設備・条件 | 法令制限等:土地区画整理法 船明地区計画 農地法 設備:プロパンガス 電気 下水道 側溝 条件:租税特別措置法が受けられる方(租税特別措置法の条件は住宅面積50平米以上200平米以下、土地と建物名義を同一です。) |
||||



































